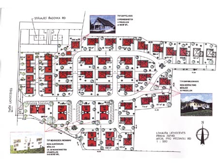
Přitažlivost území kolem rychlostní komunikace z Prahy do Slaného pronikavě vzrostla v tom okamžiku, kdy se tato výpadovka napojila na městský okruh a Evropskou třídu.
Jedním z velmi dobře položených míst v tomto ohledu je i Lichoceves, ze které se autem po pěti minutách jízdy dostanete přes 2km vzdálené Tuchoměřice k letišti v Ruzyni a posléze po dalších deseti minutách dojedete až k Vítěznému náměstí v Dejvicích. A i když je obec položena velmi blízko letiště, přesto zůstává nedotčena jeho ruchem, protože všechny letecké koridory vedou mimo její katastr.